bệnh spike trên cây đàn hương là hiểm họa phytoplasma đe dọa rừng trồng; khung nhận diện sớm, cơ chế lây, quy trình chẩn đoán qPCR và chiến lược quản trị tích hợp giúp chủ vườn ươm–trang trại ngăn lan rộng, bảo toàn năng suất, giảm tổn thất.
Tổng quan bệnh spike trên cây đàn hương: căn nguyên và rủi ro
Định nghĩa bệnh, lịch sử ghi nhận và vì sao được xếp vào nhóm dịch hại trọng điểm
bệnh spike trên cây đàn hương được ghi nhận như một rối loạn do phytoplasma ký sinh trong mô libe, gây biến dạng sinh trưởng và suy kiệt tuần tiến. Tên “spike” bắt nguồn từ hình thái chồi non tụ lại thành cụm nhọn, lóng cành ngắn bất thường khiến tán cây rối như “bông lúa”. Khác với nấm–vi khuẩn thông thường, phytoplasma không nuôi cấy được trên môi trường nhân tạo, nên việc chứng minh căn nguyên lịch sử dựa vào hiển vi điện tử và sau này là dấu ấn phân tử. Tính chất bán ký sinh của đàn hương càng làm bệnh khó kiểm soát: cây cần kết nối ký chủ rễ để tăng trưởng, nhưng hệ rễ dày đặc lại mở ra “cây cầu” thuận tiện cho lây lan tại chỗ. Vì thế, các nông trại quy mô từ vài ha đến hàng trăm ha đều cần một sổ tay vận hành riêng xoay quanh nhận diện, cách ly và xử lý dứt điểm cây bệnh ngay từ giai đoạn đầu. Đồng thời, lịch tuần tra–khoanh vùng nên được căn theo các mốc sinh thái trong chu kỳ ra hoa của cây đàn hương để chủ động nhân lực và kiểm soát côn trùng môi giới đúng mùa.
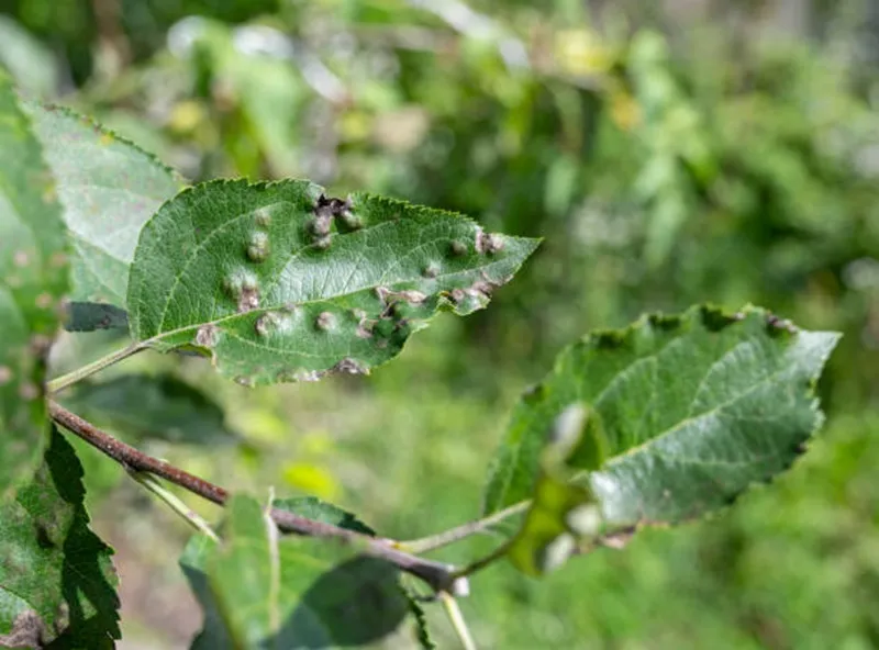
Triệu chứng điển hình, diễn tiến theo thời gian và tác động lên sinh lý tán–rễ
bệnh spike trên cây đàn hương khởi phát bằng lá non nhỏ lại, dày và cứng hơn bình thường, sau đó lóng ngắn khiến tán co rút. Nhiều chồi non mọc dày, tạo hình thái “witches’ broom” với hệ cành nhỏ chi chít và gần như không kéo dài. Cây bệnh giảm phân hóa hoa–quả, rơi lệch cân bằng nguồn–sink, tiêu hao dự trữ cho phản ứng phòng vệ mà không tạo sinh khối gỗ mới. Khi tiến triển, mô dẫn truyền bị rối loạn kéo theo rụng lá, cành khô, rễ tơ suy yếu và nguy cơ chết trong vòng 12–24 tháng sau khi biểu hiện rõ. Điểm đánh lừa là tốc độ tiến triển chậm khiến người quản lý dễ nhầm với thiếu dinh dưỡng vi lượng, dẫn đến xử lý sai hướng, bỏ lỡ “cửa sổ vàng” để khoanh vùng và loại bỏ nguồn lây.
Những sai lầm chẩn đoán thường gặp và hệ quả khi tác nghiệp thiếu kỷ luật
bệnh spike trên cây đàn hương thường bị quy chụp là “đói phân” hoặc “khô hạn” khi chỉ nhìn thoáng qua hình ảnh lá nhỏ–vàng nhạt. Thói quen bón thúc mạnh vô tình làm nặng thêm stress thẩm thấu, thúc đẩy rối loạn nước–dinh dưỡng và che mờ chỉ dấu đặc hiệu ở lóng–chồi. Sai lầm thứ hai là cắt tỉa mạnh tay với kỳ vọng “phục hồi”, trong khi mầm bệnh vẫn lưu trong libe và có thể tiếp tục lan qua rầy chích hút hoặc qua ghép rễ. Sai lầm thứ ba là di chuyển dụng cụ–vật liệu trồng giữa các lô khi chưa khử trùng, tạo thành “xa lộ” lan truyền vô tình. Một quy trình tốt luôn buộc người vận hành ghi nhận ảnh, định vị GPS, đánh dấu cây nghi ngờ, rồi mới quyết định lấy mẫu phòng thí nghiệm và roguing theo vùng đệm tối thiểu.

Dịch tễ học, đường lây truyền và các yếu tố tăng tốc lan rộng
Vai trò véc-tơ côn trùng chích hút và vì sao giám sát mùa vụ là bắt buộc
bệnh spike trên cây đàn hương lan chủ yếu nhờ nhóm rầy–bọ nhảy lá chích hút libe. Chúng di chuyển nhanh giữa các cây trong cùng lô và giữa các lô kề cận, đặc biệt khi thảm cỏ–cây dại làm “trạm trung chuyển” dày đặc. Đỉnh quần thể véc-tơ thường trùng pha thời tiết ấm–ẩm, gió nhẹ, giúp quãng bay và thời gian sống kéo dài. Bởi vậy, giám sát bằng bẫy màu, lưới quét, cộng với lịch kiểm lô định kỳ sau mưa lớn là một “ván bài” chiến thuật giúp phát hiện sớm ổ tích tụ véc-tơ. Không phải lúc nào biện pháp hóa học cũng là lời giải; nhiều trang trại thành công là nhờ quản trị sinh cảnh, giảm nơi trú ẩn và cắt đường di chuyển liên lô bằng hành lang sạch cỏ dại.
Lây qua ghép rễ, qua dây tơ ký sinh và những mắt xích kỹ thuật khó thấy
bệnh spike trên cây đàn hương còn có thể lan nhờ ghép rễ tự nhiên giữa cây bệnh và cây khỏe khi rễ chạm–dính trong đất tơi xốp. Tại các nông trại dùng cây che phủ dày, rễ bên phát triển mạnh làm tăng xác suất nối thông libe. Một số loài tơ ký sinh (Cuscuta) nếu xuất hiện cũng có thể là “ống dẫn tạm” trong thí nghiệm, củng cố giả thuyết đường libe là cao tốc của mầm bệnh. Điều này khiến quy trình nhổ bỏ phải đi kèm đào rãnh cách ly, cắt đứt giao tiếp rễ và xử lý gốc bằng cách tiêu hủy an toàn. Công tác vệ sinh dụng cụ cắt, giày–bánh xe, khay ươm, cùng quản trị luồng đi lại nội bộ vì thế trở thành phần không thể thiếu trong sổ tay dịch tễ của trang trại.
Ảnh hưởng của khí hậu, cấu trúc tán và ma trận cây ký chủ trong hệ canh tác
bệnh spike trên cây đàn hương tăng tốc khi vi khí hậu quá ẩm, thiếu đối lưu, hoặc khi tán xen che tối đa làm cây suy giảm quang hợp. Ở các mô hình nông lâm kết hợp, cấu trúc ký chủ rễ quá đơn điệu cũng khiến hệ rễ “đồng bộ hóa” đáng kể, tạo cầu cho lây chéo. Vì vậy, thiết kế dải đệm không ký chủ quanh lô, cắt tỉa tạo khe gió, và duy trì độ che phủ vừa phải giúp cân bằng sức sống cây và giảm áp lực véc-tơ. Kế hoạch luân chuyển cỏ dại theo mùa, không để bùng phát đồng loạt sau những trận mưa lớn, sẽ hạn chế “bậc thang” trú ẩn của côn trùng. Tất cả những chỉnh sửa sinh cảnh nhỏ này cộng dồn thành hiệu ứng lớn lên quỹ đạo dịch tễ toàn khu.
Chẩn đoán hiện trường và xác thực phòng thí nghiệm
Bộ chỉ dấu hiện trường và cách phân biệt với thiếu dinh dưỡng–khô hạn
bệnh spike trên cây đàn hương nên được nghi ngờ khi xuất hiện bộ ba dấu hiệu: lá nhỏ–cứng, lóng ngắn, chồi tụ dày. Khác thiếu dinh dưỡng, bổ sung phân không cải thiện được lóng; khác khô hạn, việc tưới điều chỉnh không kéo lá về kích thước ban đầu. Người phụ trách nên chụp ảnh cự ly cố định, ghi chú thời điểm và vị trí GPS, dán nhãn “theo dõi sát” trong 2–4 tuần. Nếu tán tiếp tục co rút, chuyển màu không đồng đều, hoặc phát sinh cụm chồi mới dày bất thường, bước tiếp theo là lấy mẫu lá non–cuống lá theo sơ đồ chéo tán, gửi xét nghiệm qPCR. Việc trì hoãn nhổ bỏ đến khi có dấu ấn phân tử giúp tránh nhầm lẫn, đồng thời không làm tăng rủi ro lan truyền nếu đã khoanh vùng kỹ lưỡng ngay từ đầu.
Xét nghiệm qPCR/nested qPCR: chọn mô, lấy mẫu, bảo quản và đọc kết quả
bệnh spike trên cây đàn hương được xác thực bằng qPCR hoặc nested qPCR nhắm tới vùng gene đặc trưng của phytoplasma; mẫu tối ưu là lá non, cuống lá hoặc mảnh vỏ mỏng gần libe. Trước khi cắt, khử trùng dụng cụ bằng cồn và lửa, tránh nhiễm chéo; mỗi cây đựng trong túi riêng, kèm nhãn lô và ảnh đối chiếu. Mẫu nên được làm lạnh nhanh, gửi phòng thí nghiệm trong ngày. Báo cáo qPCR dương tính cần đi kèm thông tin Ct và cặp mồi sử dụng để đánh giá độ tin cậy. Ở cấp lô, chiến lược tốt là xét nghiệm tổ hợp theo cụm, rồi khoanh vùng chi tiết dựa trên kết quả, giảm chi phí nhưng vẫn đủ độ nhạy để quyết định roguing. Việc lưu trữ kết quả theo thời gian còn giúp xây dựng bản đồ dịch tễ nội bộ cho mùa sau.
Giám sát véc-tơ và dữ liệu hỗ trợ quyết định: từ bẫy màu tới bản đồ ổ dịch
bệnh spike trên cây đàn hương cần lớp dữ liệu véc-tơ song hành: số lượng rầy–bọ nhảy theo bẫy vàng, lưới quét theo đường chéo lô, và nhật ký xuất hiện theo tuần. Khi dữ liệu chỉ ra xu hướng tăng, đội hiện trường kích hoạt gói biện pháp: vệ sinh hành lang cỏ dại, tỉa mở các “cổ chai” thông gió, và nếu cần, can thiệp hóa học điểm–thời gian ngắn tại ổ dày. Bản đồ ổ dịch dựng từ ảnh–GPS giúp nhìn được hướng lan, từ đó sắp xếp đường đi tuần tra, điểm đặt bẫy và ranh giới vùng đệm. Văn hóa “dữ liệu trước, mệnh lệnh sau” giúp các quyết định loại bỏ cây bệnh, mở rãnh cách ly, hay tạm dừng di chuyển vật liệu trồng được ủng hộ và thực thi nhất quán trong đội ngũ.

Quản trị tích hợp (IPM) và SOP thực địa
Sanitation–roguing: loại bỏ dứt nguồn bệnh, rãnh cách ly và tiêu hủy an toàn
bệnh spike trên cây đàn hương hiện chưa có thuốc chữa ngoài đồng được chứng minh bền vững; trọng tâm là vệ sinh–loại bỏ. Sau khi xác thực hoặc nghi ngờ chắc chắn, đánh dấu vùng đệm quanh gốc 20–30 m để ngăn ghép rễ, cắt rời hệ rễ bằng rãnh nông–rộng đủ phá giao tiếp, rồi đào–nhổ toàn bộ cây, bao gồm rễ to gần mặt đất. Cành–lá–rễ cần được gom, phơi nắng gắt hoặc tiêu hủy theo quy định, tránh vận chuyển qua lô khác. Dụng cụ, giày–lốp xe phải khử trùng trước khi rời hiện trường. Việc chậm trễ, nhổ bỏ nửa vời hoặc chỉ cắt tỉa phần trên tán sẽ biến cây bệnh còn lại thành “ổ phát” lâu dài, ngấm ngầm đốt ngân sách. Kỷ luật thao tác chính là tường thành cuối cùng giữ an toàn cho toàn khu.
Cảnh báo thao tác: khi phát hiện cây nghi nhiễm, tạm dừng mọi di chuyển vật liệu trồng từ lô đó; bố trí lối vào–ra riêng, khử trùng bánh xe và dụng cụ; khoanh vùng mềm bằng cọc–băng cảnh báo; chỉ định một nhóm xử lý chuyên biệt để tránh “bước chân lây lan”.
Quản lý véc-tơ và sinh cảnh: giảm trú ẩn, phá cầu nối và chỉ dùng hóa học điểm
bệnh spike trên cây đàn hương suy giảm đáng kể khi thảm cỏ dại ký chủ trung gian được kiểm soát đúng nhịp, không để bùng phát rồi chặt trụi đột ngột. Hành lang sạch cỏ giữa các lô tạo ranh giới sinh học, hạn chế giao cắt véc-tơ. Cắt tỉa mở khe gió và duy trì độ che tán vừa phải làm khô nhanh tán lá sau mưa, giảm sức hút đối với rầy. Biện pháp hóa học có thể cân nhắc theo ổ dịch, thời gian ngắn, ưu tiên luân chuyển hoạt chất để tránh áp lực kháng; song chúng chỉ là “phanh tay khẩn cấp”, không thay cho quản trị sinh cảnh. Kết hợp bẫy màu để cảnh báo sớm, cộng với phân tích số liệu theo tuần sẽ giúp bạn biết lúc nào nên can thiệp và lúc nào nên chờ thêm dữ kiện.
Vườn ươm và vật liệu giống: hàng rào đầu tiên chống lây xâm nhập
bệnh spike trên cây đàn hương có thể lẩn vào chuỗi giống nếu nhà lưới không chống côn trùng tốt, khay–giá thể tái sử dụng thiếu vệ sinh, hoặc chọn cây mẹ không theo dõi lâu dài. Vườn ươm cần quy trình khép kín: lưới chống côn trùng chuẩn, bẫy dính kiểm soát, phân luồng sạch–bẩn, và lịch vệ sinh bề mặt–dụng cụ. Mẫu định kỳ từ cây mẹ–giâm được xét nghiệm qPCR theo lô; kết quả lưu kèm QR để truy vết nếu có sự cố ở khách hàng. Việc đào tạo nhân viên nhận diện sơ bộ và báo cáo sớm giúp ngăn “lọt lưới”. Khi hàng rào đầu tiên vững, áp lực lên khâu roguing ngoài đồng sẽ giảm, tạo dư địa ngân sách cho các hoạt động tăng trưởng.
- Chuẩn hóa lối đi một chiều cho xe–người giữa các lô và khu ươm.
- Thiết lập sổ trực ca bảo vệ, bẫy kiểm tra và lịch cắt cỏ theo mùa.
- Khử trùng dụng cụ sau mỗi cụm cây; dùng thùng riêng cho vật liệu.
- Đào rãnh cách ly ngay sau khi ký quyết định nhổ bỏ, không để lỡ ngày.

Phân biệt chẩn đoán và bảng đối chiếu hiện trường
Bảng so sánh nhanh các dấu hiệu: từ tán–lá tới phản ứng sau can thiệp
bệnh spike trên cây đàn hương dễ nhầm nếu không đối chiếu có hệ thống. Bảng sau khái quát dấu hiệu và phản ứng sau can thiệp của ba nhóm tình huống thường gặp để bạn ra quyết định tự tin hơn. Nguyên tắc là theo dõi nhiều kỳ sinh trưởng ngắn, tránh kết luận vội vàng chỉ bằng một bức ảnh hoặc một lần khảo sát. Khi còn nghi ngờ, giữ nguyên khoanh vùng mềm, tiếp tục lấy mẫu và xin ý kiến xét nghiệm; chi phí trì hoãn ngắn luôn rẻ hơn chi phí mở rộng ổ dịch chỉ vì một quyết định thiếu dữ liệu. Khả năng nhận diện nhất quán giữa các tổ công tác sẽ trực tiếp chuyển hóa thành số cây cứu được và diện tích không bị lây chéo.
| Dấu hiệu/Phản ứng | SSD (spike) | Thiếu dinh dưỡng | Tổn thương cơ học/thuỷ văn |
|---|---|---|---|
| Lá | Nhỏ, dày, cứng; đổi màu loang lổ | Vàng đồng đều theo gân hoặc mép | Cháy mép, đốm rách, biến dạng cục bộ |
| Lóng–chồi | Lóng ngắn, chồi tụ dày dạng “bông lúa” | Lóng bình thường, chồi thưa | Gãy, sẹo, lệch hướng sinh trưởng |
| Tiến triển | Chậm nhưng liên tục; suy kiệt 12–24 tháng | Cải thiện sau bón–điều chỉnh pH | Ổn định khi loại bỏ nguyên nhân cơ học |
| Đáp ứng can thiệp | Không hồi phục với bón/ tưới; cần roguing | Hồi phục từng phần theo phác đồ dinh dưỡng | Hồi phục khi thông thoát nước/giảm chèn ép |
Quy trình ra quyết định loại trừ: sơ đồ hai nhánh nhằm giảm nhổ nhầm
bệnh spike trên cây đàn hương được xử lý bằng sơ đồ hai nhánh: nhánh A cho trường hợp dấu hiệu rất điển hình kèm ổ véc-tơ dày, ưu tiên khoanh vùng–nhổ bỏ nhanh; nhánh B cho trường hợp chưa rõ ràng, ưu tiên xét nghiệm tổ hợp và theo dõi ngắn hạn. Ở cả hai nhánh, dữ liệu ảnh–GPS–bẫy véc-tơ là phần đính kèm bắt buộc. Sau quyết định, nhóm hiện trường cập nhật sổ theo dõi, xếp lịch đào rãnh cách ly, khử trùng và kiểm tra lại sau 2–3 tuần. Sự lặp lại kỷ luật này giúp giảm nhổ nhầm và tránh để sót các ổ chưa bị phát hiện, đồng thời tạo kho dữ liệu hữu ích cho đào tạo nhân sự mới.
Tác động kinh tế và quản trị chuỗi cung ứng giống–gỗ–tinh dầu
Mức tổn thất trực tiếp–gián tiếp và cách chuyển rủi ro thành KPI kiểm soát
bệnh spike trên cây đàn hương kéo theo tổn thất lớp lớp: giảm sinh trưởng, mất năng suất, chi phí nhổ bỏ–tiêu hủy, chi cho rãnh cách ly và thời gian gián đoạn công việc. Tổn thất gián tiếp là suy giảm niềm tin của đối tác thu mua, chậm tiến độ giao hàng, và chi phí cơ hội của diện tích bị đóng băng. Chuyển hóa rủi ro thành KPI (số cây nghi nhiễm phát hiện/ha/tháng, thời gian phản ứng, tỷ lệ nhổ đúng) giúp đội quản lý nhìn thấy “điểm chạm” can thiệp. Khi các chỉ số đi đúng hướng qua từng quý, biên lợi nhuận sẽ bền hơn và ngân sách dự phòng giảm mà vẫn an toàn.
Chính sách nội bộ, giám sát cộng đồng và truy xuất: tấm khiên dài hạn
bệnh spike trên cây đàn hương đòi hỏi văn hóa doanh nghiệp minh bạch: quy định khai báo bắt buộc, khóa luồng di chuyển vật liệu trồng từ lô nghi ngờ, nhà ươm dùng mã QR truy xuất lô cây mẹ–giâm và lưu hồ sơ xét nghiệm. Hợp tác với cộng đồng địa phương để có mắt xích bảo vệ ngoài hàng rào, đặt đường dây liên hệ khi thấy hiện tượng bất thường. Mỗi quý, công bố bản tin nội bộ tổng hợp số liệu véc-tơ–ổ dịch và các bài học hiện trường. Khi chuỗi cung ứng sạch–rõ, đối tác tài chính–mua hàng tin tưởng hơn, và tổn thất do rủi ro thông tin giảm xuống một cách đo đếm được.
Bạn muốn chung tay cùng chúng tôi mở rộng những cánh rừng lành mạnh và bền vững? Hãy ghé https://danhuongvietnam.vn để ủng hộ trực tuyến cho các chương trình trồng, chăm sóc và bảo vệ rừng. Cần tư vấn chi tiết, vui lòng email: support@34group.com.vn hoặc gọi 02439013333 để được hướng dẫn nhanh chóng, minh bạch. Đừng quên chia sẻ thông tin hữu ích này – mỗi lượt lan tỏa là thêm động lực cho một mầm cây lớn lên xanh tốt!






